Esperando una mejoría del tiempo
Un fin de semana caluroso, así que, antes de irnos de pingoneo por la montaña y cenar a la intemperie con los amigos, nos refrescamos un poco. Como ya es algo tarde lo hacemos por el Dique Oeste, recorreremos las cuevas de por aquí después de realizar los pecios. La corriente es algo más suave de lo acostumbrado, los pecios no son tan visibles como la última vez, pero anima a las incursiones. Vemos un mero por ahí oculto y lenguados.
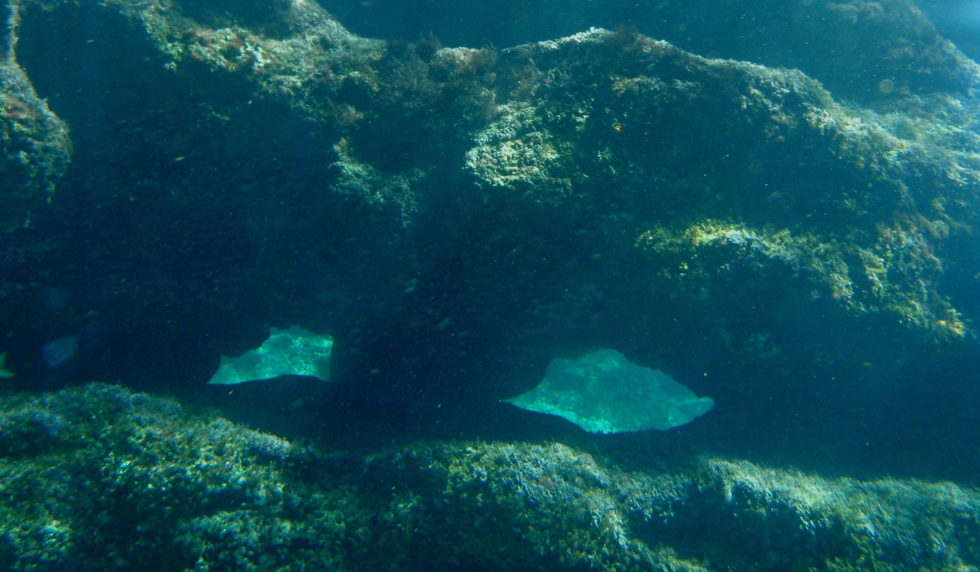
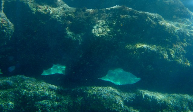
El entorno esta turbio, por lo que la belleza del fondo de arena no podemos apreciarla como quisiéramos. Una vez visto los pecios retornamos al dique. Pasados los bloques de hormigón nos encontramos con la madre naturaleza en su esplendor. Aquí abajo vemos varios pulpos, que parece no tienen miedo de nosotros. Nos acercamos a ellos despacito y muy lentamente. La turbiez de la mar no permite que les podamos sacar unas fotos en condiciones, por lo que les dejamos y seguimos el paseo. Pasamos por el túnel, por una cuevecita y por último la cueva principal. Aquí vemos las Cotylorhizas Tuberculata que se han apostado en la entrada y aunque no son peligrosas para el ser humano, su tamaño nos pone algo nerviosos. Son unas cuantas que parece haber encontrado en este recodo un buen cobijo. Conseguimos introducirnos en la cavidad y una vez explorada, decidimos a ver quien es el primero para apartar las medusas. Ya no nos queda aire, por lo que toca a su fin esta salida submarina.
Ahora toca replegar y preparar las cosas de excursión y papeo nocturno montañero. Esperemos que la próxima visita el mar no esté tan turbio y poder sacar fotos de los pecios.
PARA VER TODAS LAS FOTOS PINCHA AQUÍ




































tan guapetón como siempre. tu sonrisa lo dice todo. Besos
Me gustaMe gusta